Apoderiger banari
| Apoderiger banari | |
|---|---|
| |
| Scientific classification | |
| Kingdom: | Animalia |
| Phylum: | Arthropoda |
| Class: | Insecta |
| Order: | Coleoptera |
| Suborder: | Polyphaga |
| Infraorder: | Staphyliniformia |
| Family: | Staphylinidae |
| Genus: | Apoderiger |
| Species: | A. banari
|
| Binomial name | |
| Apoderiger banari Hlaváč, 2025
| |
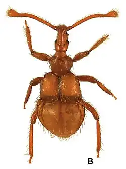
Apoderiger banari is a species of beetle of the Staphylinidae family. This species is found in Madagascar (Anjozorobe).
Adults reach a length of about 1.65–1.70 mm and have a yellowish-brown body.
Etymology
The species is named after a good friend of the author, Peter Baňař, who collected many pselaphines in Madagascar.[1]
