Indianapolis International Airport

Indianapolis International Airport
Satellite image of the airport in 2020
Summary
Airport typePublic
Owner/OperatorIndianapolis Airport Authority
ServesIndianapolis
Location7800 Col. H. Weir Cook Memorial Drive
Indianapolis, Indiana, United States
OpenedSeptember 24, 1931 (1931-09-24)
Hub forFedEx Express
Operating base for
Elevation AMSL797 ft / 243 m
Coordinates39°43′02″N 086°17′40″W / 39.71722°N 86.29444°W / 39.71722; -86.29444
Websiteind.com
Maps
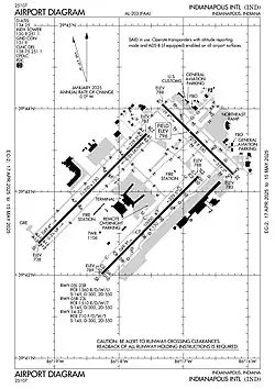
FAA airport diagram as of April 2025
FAA airport diagram as of April 2025
Runways
Direction Length Surface
ft m
5L/23R 11,200 3,414 Concrete
5R/23L 10,000 3,048 Concrete
14/32 7,278 2,218 Asphalt
Statistics (2024)
Total passengers10,520,326
Air cargo (metric tons)907,868
Aircraft operations191,846
Source: Indianapolis International Airport[1]

Indianapolis International Airport (IATA: IND, ICAO: KIND, FAA LID: IND) is an international airport located seven miles (11 km) southwest of Downtown Indianapolis in Marion County, Indiana, United States.[2] It is owned and operated by the Indianapolis Airport Authority, and the airport serves over 50 non-stop destinations throughout North America, the Caribbean, and Europe across multiple carriers. As of 2024, IND is the 46th-busiest airport in the U.S. and the busiest in Indiana with 5,180,917 passengers.

The airport occupies 7,700 acres (3,116 ha) in Wayne and Decatur townships in Marion County.[2][3] IND is home to the second largest FedEx Express hub in the world; only the FedEx SuperHub in Memphis, Tennessee, surpasses its cargo traffic. Largely because of FedEx's activity, IND consistently ranks among the top 10 busiest U.S. airports in terms of air cargo throughput.[4][5][6] Republic Airways is also headquartered at the airport, and Allegiant Air maintains Indianapolis as a focus city.

The Indianapolis Air Route Traffic Control Center (ZID), one of 22 established FAA area control centers, is located on the airport property's north side.

The Federal Aviation Administration (FAA) National Plan of Integrated Airport Systems for 2025–2029 categorized it as a medium hub primary commercial service facility.[7]

History

Beginnings

Indianapolis Municipal Airport opened on September 24, 1931,[8] replacing the older Stout Field as the primary city airport. The airport was initially built on about 320 acres (130 ha) of land in the southwestern edge of the city, with an additional 627 acres (254 ha) reserved for future expansions at the airport.[9] In 1944, it was renamed Weir Cook Municipal Airport, after US Army Air Forces Col. Harvey Weir Cook of Wilkinson, Indiana, who had become a flying ace during World War I with seven victories and had died flying a P-39 over New Caledonia in World War II.

Aerial perspective of Indianapolis Municipal Airport under development in October 1930.

Indianapolis was one of many stops along the first transcontinental air/rail service between Los Angeles and New York that was started by Transcontinental Air Transport (TAT) in 1929. TAT would later become Trans World Airlines (TWA) and continued to serve IND until their merger into American Airlines in 2001.

Since 1962, the airport has been owned and operated by the Indianapolis Airport Authority (IAA). The IAA has an eight-member board with members appointed by the mayor of Indianapolis and other officials from Marion, Hendricks, and Hamilton counties in central Indiana. In 1976, the board renamed the airport Indianapolis International Airport.[10]

From 1957 to 2008, the passenger terminal was on the east side of the airfield off High School Road. This now-demolished facility was renovated and expanded many times, notably in 1968 (Concourses A and B), 1972 (Concourse D), and 1987 (Concourse C and the attached parking garage). This complex, along with the International Arrivals Terminal (opened in 1976) on the north side of the airfield (off Pierson Drive), was replaced by the Col. H. Weir Cook Terminal on November 12, 2008.[11]

The April 1957 Official Airline Guide (OAG) shows 82 weekday departures: 24 Eastern, 22 TWA, 15 Delta, 11 American, 9 Lake Central and 1 Ozark. Eastern had a nonstop to Atlanta and one to Birmingham and TWA had two to New York-LaGuardia; no other nonstops reached beyond Chicago, St. Louis, Memphis, Louisville and Pittsburgh. The first jets were TWA Convair 880s in 1961. Westward nonstops did not reach beyond St. Louis until 1967 when TWA started a JFK-IND-LAX flight with a Boeing 707. In the mid-1970s, TWA ran a widebody Lockheed L-1011 on the nonstop flight to Los Angeles.[12]

Recent years

During the late 1980s and early 1990s, USAir (later US Airways) had a secondary hub in Indianapolis with non-stop jets to the West Coast, East Coast, and Florida and turboprop flights to cities around the Midwest. USAir peaked at 146 daily departures (including its prop affiliates), with 49% of all seats. USAir ended the hub in the late 1990s.

FedEx Express began its hub at the airport in 1988, with an expansion of the hub occurring ten years later. The hub employs around 4,000 people and has a sort capacity of nearly 100,000 packages per hour, making Indianapolis the largest FedEx hub in the world outside of the company's SuperHub in Memphis.[13]

In the late 1990s and early 2000s, Indianapolis was a hub for then locally based ATA Airlines and its regional affiliate, Chicago Express/ATA Connection. After that airline entered Chapter 11 bankruptcy protection in late 2004, operations at IND were cut, then eliminated in 2006.[14] ATA's demise gave Northwest Airlines an opportunity to expand operations, making Indianapolis a focus city with mainline flights to the West Coast, East Coast, and the South.[15] Northwest was later acquired by Delta Air Lines in 2008, and a decade later, Delta began service from Indianapolis to Paris in May 2018. This flight was the first ever non-stop transatlantic passenger flight out of Indianapolis.[16] The flight, DL500, was suspended in March 2020 due to the COVID-19 pandemic.[17]

In 1990, Air Canada began nonstop service from Indianapolis to Toronto Pearson International Airport, marking the first regularly scheduled international flight out of IND.[18] Air Canada Jazz, which operated the flight from 2001, would be retired by Air Canada in 2012, and service to IND would continue under the new Air Canada Express brand.

In 1994, BAA USA was awarded a 10-year contract to manage the Indianapolis International Airport. The contract was extended three years but was later cut a year short at the request of the BAA. Private management ended on December 31, 2007, and control reverted to IAA.[19][20] Also in 1994, United Airlines finished building its Indianapolis Maintenance Center[21] at a cost of US$600 million.[22] United later moved their maintenance operations to its sole maintenance hub located at San Francisco International Airport. Around 2006, runway 14/32 was shortened from 7,604 feet (2,318 m) to its present length because the south end was not visible from the new control tower.[23]

Interior of the airport's Col. H. Weir Cook Terminal in 2015

A new 1.2-million-square-foot (110,000 m2) midfield passenger terminal, which cost $1.1 billion, opened in 2008 between the airport's two parallel runways, southwest of the previous terminal and the crosswind runway. A new FAA Air Traffic Control Tower (ATCT) and Terminal Radar Approach Control (TRACON) building, the second tallest in the United States, opened in April 2006, the first component of the long-planned midfield complex. The Weir Cook Terminal itself opened for arriving flights on the evening of November 11, 2008, and for departures the following morning. HOK was its master designer, with AeroDesign Group (a joint venture of CSO Architects, SchenkelShultz Architecture, and ARCHonsortium) serving as the architect of record. Aviation Capital Management (Indianapolis), a subsidiary of BSA LifeStructures, was the airport's program manager. Hunt/Smoot Midfield Builders, a joint venture of Hunt Construction Group and Smoot Construction was the construction manager.[24] Thornton Tomasetti was the terminal's structural engineer along with Fink, Roberts and Petrie.[25] Syska Hennessy was the mechanical, electrical, & plumbing engineer.[25] In 2021, a six-person panel of Indianapolis members of the American Institute of Architects (AIA) identified the Col. H. Weir Cook Terminal among the ten most "architecturally significant" buildings completed in the city since World War II.[26]

A 162-acre (66 ha), 22 MW solar farm is at the airport. It was the largest airport solar farm in the world when the second phase opened in 2014.[27]

In August 2017, Allegiant Air announced it would open a $40 million aircraft base at the airport that would begin operations in February of the following year. The facility was to create 66 high-paying jobs by the end of year and house two Airbus aircraft.[28][29]

On August 16, 2019, the Indianapolis Airport Authority announced a $76 million plan to expand the terminal parking garage. The airport's existing parking garage, which opened with the new terminal in 2008, had an existing 5,900 public parking spaces and 1,200 rental car spaces. The five-story expansion began construction in fall 2022 with F.A. Wilhelm as the general contractor to build the 500,000 square feet (46,000 m2) expansion, giving the airport an extra 500 public parking spots and 1,000 rental car spaces including the installation of a solar canopy that spanning the entire addition. The expansion opened in early 2024.[30][31]

On October 21, 2024, Aer Lingus announced nonstop flights to Dublin, Ireland beginning May 2025, marking the first transatlantic flight out of Indianapolis since 2020.[32]

Facilities

Airport hotel

The Indianapolis Airport Authority voted on February 21, 2025, to build a new hotel at the airport. The 253-room Marriott Westin-branded hotel will connect to the west side of the terminal parking garage, allowing direct access to the airport terminal. The hotel will feature a full-service restaurant, a seventh-floor lounge area with an airfield view open to the public, a fitness center, approximately 10,000 square feet (930 m2) of meeting space, and dedicated parking with valet. Groundbreaking for the Westin Indianapolis Airport hotel began in June 2025,[33] with anticipated completion of the almost $206 million project in December 2027.[34][35][36]

Terminal

Exterior of the Col. H. Weir Cook Terminal in 2019

Indianapolis International Airport has a single terminal with two concourses and a total of 39 gates.[37] The current terminal opened in 2008 and is named in honor of Col. Harvey Weir Cook. It was one of the first designed and built in the U.S. following the September 11 attacks.[38] International arrivals are processed in Concourse A.[37]

Runways

The airport has three runways: two parallel and one crosswind. The crosswind runway, 14/32, is the shortest of the three at 7,278 feet (2,218 m). The newest runway is 5R/23L, completed in 2024 as part of a large expansion program. Indianapolis International Airport received a $26.6 million grant from the Federal Aviation Administration (FAA) on August 2, 2024. The grant was one of the largest among airports selected to receive the latest round of funding. The funding was applied to the reconstruction of IND's Runway 5R-23L and Taxiway D to improve safety. The project, which included adding LED runway and taxiway lighting was completed in late 2024. The Indianapolis Airport Authority (IAA) spent approximately $38.6 million with 34 diverse businesses for phase one and two. The construction project has created more than 3,200 jobs, across all three phases of the reconstruction.[40][41][42]

Runway Length Width Surface
5L/23R 11,200 feet (3,400 m) 150 feet (46 m) Concrete
5R/23L 10,000 feet (3,000 m) 150 feet (46 m) Concrete
14/32 7,278 feet (2,218 m) 150 feet (46 m) Asphalt

The airport's current ~348-foot (106-meter) control tower opened in 2006 at a cost of about $38 million. The tower is the fourth tallest in the United States and the fourteenth tallest in the world.[43][44]

Ground transportation

Ten rental car operations (Alamo, Avis, Budget, Dollar, Enterprise, Hertz, National, Payless, Sixt, and Thrifty) and the Ground Transportation Center (where information about limousine, shuttle bus, hotel courtesy vehicles and other transportation services such as IndyGo bus service can be obtained) are located on the first floor of the attached parking garage. All pick-ups and drop-offs of rental vehicles also occur here, eliminating the need for shuttling customers to and from individual companies' remote processing facilities. The 3.2-million-square-foot (300,000 m2) five-floor parking garage has 6,400 public parking spaces and 2,200 rental car spaces.[30] It features a light-filled center atrium complete with a piece of suspended artwork and contains moving sidewalks to speed pedestrians into and out of the terminal building itself.[45][46]

The Blue Line, a bus rapid transit route also operated by IndyGo, will have its western terminus at the airport. Groundbreaking for the new line began in February 2025 and the route is expected to be completed by 2028.[47]

Airlines and destinations

Passenger

AirlinesDestinationsRefs
Aer Lingus Dublin[48] [49]
Air Canada Express Seasonal: Toronto–Pearson [50]
Alaska Airlines Seattle/Tacoma [51]
Allegiant Air Fort Lauderdale, Jacksonville (FL), Key West, Las Vegas, Orlando/Sanford, Portland (OR),[52] Punta Gorda (FL), Sarasota, St. Petersburg/Clearwater
Seasonal: Austin, Boston, Charleston (SC), Destin/Fort Walton Beach, Myrtle Beach, Savannah
[53]
American Airlines Charlotte, Chicago–O'Hare, Dallas/Fort Worth, Los Angeles, Miami, Phoenix–Sky Harbor
Seasonal: Cancún, Philadelphia, Punta Cana (begins December 6, 2025),[54] Washington–National
[55]
American Eagle Boston, Chicago–O'Hare, New York–JFK, New York–LaGuardia, Philadelphia, Washington–National
Seasonal: Miami
[55]
Delta Air Lines Atlanta, Los Angeles, Minneapolis/St. Paul, Salt Lake City[56]
Seasonal: Cancún (resumes December 20, 2025),[57] Detroit
[58]
Delta Connection Austin,[59] Boston, Detroit, New York–JFK, New York–LaGuardia, Raleigh/Durham[60]
Seasonal: Minneapolis/St. Paul, Orlando (resumes December 20, 2025)[61]
[58]
Frontier Airlines Atlanta,[62] Dallas/Fort Worth,[63] Denver, Orlando
Seasonal: Raleigh/Durham,[64] Tampa[62]
[65]
Southwest Airlines Atlanta, Austin, Baltimore, Chicago–Midway,[66] Dallas–Love, Denver, Fort Lauderdale, Fort Myers, Houston–Hobby, Kansas City, Las Vegas, Nashville,[67] Orlando, Phoenix–Sky Harbor, San Diego, Sarasota, Tampa
Seasonal: Cancún, Miami,[68] Panama City (FL),[68] San José del Cabo (begins March 5, 2026)[69]
[70]
Spirit Airlines Atlanta, Charlotte,[71] Dallas/Fort Worth,[71] Fort Lauderdale, Las Vegas, Los Angeles,[71] New York–LaGuardia (begins October 8, 2025),[72] Newark, Orlando, Tampa
Seasonal: New Orleans[73]
[74]
Sun Country Airlines Seasonal: Minneapolis/St. Paul[75] [76]
United Airlines Denver, Houston–Intercontinental, San Francisco
Seasonal: Chicago–O'Hare, Washington–Dulles (resumes September 25, 2025)[77]
[78]
United Express Chicago–O'Hare, Houston–Intercontinental, Newark, Washington–Dulles [78]

Cargo

AirlinesDestinations
Cargolux Atlanta, Chicago–O'Hare, Houston–Intercontinental, Luxembourg, New York–JFK
Castle Aviation Akron/Canton, Hamilton (ON)
FedEx Express Allentown, Anchorage, Atlanta, Baltimore, Boston, Burbank, Cedar Rapids/Iowa City, Charlotte, Chicago–O'Hare, Cleveland, Cologne/Bonn, Columbus–Rickenbacker, Dallas/Fort Worth, Denver, Detroit, El Paso, Fort Lauderdale, Fort Worth/Alliance, Grand Rapids, Greenville (SC), Greensboro, Harrisburg, Hartford, Houston–Intercontinental, Kansas City, Knoxville, Liège, London–Stansted, Los Angeles, Louisville, Madison, Memphis, Miami, Milwaukee, Minneapolis/St. Paul, Montreal–Mirabel, Nashville, Newburgh, New Orleans, New York–JFK, Newark, Norfolk, Oakland, Omaha, Ontario, Orlando, Ottawa, Paris–Charles de Gaulle, Philadelphia, Phoenix–Sky Harbor, Pittsburgh, Portland (OR), Raleigh/Durham, Richmond, Sacramento, Salt Lake City, San Diego, San Jose (CA), Seattle/Tacoma, St. Louis, Syracuse, Tampa, Toronto–Pearson, Washington–Dulles
FedEx Feeder Buffalo, Cedar Rapids/Iowa City, Columbus–Rickenbacker, Fargo, Parkersburg, Rochester (MN), Sioux Falls, South Bend

Destination maps

Domestic destinations map
International destinations map
International destinations from IND (includes Alaska, Hawaii, and U.S. territories). Red dots represent year-round destinations; green dots represent seasonal destinations; blue dots represent future destinations.

Statistics

FAA control tower
Indianapolis International Airport boarding area
Walkway from the terminal to the parking garage with motion-activated lights
View from the FAA control tower of the parking garage and terminal building

Top destinations

Busiest domestic routes from IND (May 2024 - April 2025)[79]
Rank City Passengers Carriers
1 Atlanta, Georgia 468,880 Delta, Frontier, Southwest, Spirit
2 Denver, Colorado 368,470 Frontier, Southwest, United
3 Orlando, Florida 313,670 Frontier, Southwest, Spirit
4 Chicago–O'Hare, Illinois 294,140 American, United
5 Dallas/Fort Worth, Texas 280,000 American, Frontier, Spirit
6 Charlotte, North Carolina 252,430 American, Spirit
7 Las Vegas, Nevada 218,150 Allegiant, Southwest, Spirit
8 Phoenix–Sky Harbor, Arizona 210,920 American, Southwest
9 Fort Lauderdale, Florida 168,210 Allegiant, Southwest, Spirit
10 Minneapolis/St. Paul, Minnesota 164,830 Delta, Sun Country

Airline market share

Largest airlines at IND
(May 2024 - April 2025)
[79]
Rank Airline Passengers Share
1 Southwest Airlines 2,827,000 27.67%
2 American Airlines 1,760,000 17.23%
3 Republic Airways 1,542,000 15.10%
4 Delta Air Lines 1,231,000 12.05%
5 Spirit Airlines 656,000 6.42%
Other 2,199,000 21.53%
Largest cargo airlines at IND (YTD 2024)[1]
Rank Carriers Cargo (pounds)
1 FedEx Express 1,778,752,450
2 Cargolux Airlines 15,819,204
3 Atlas Air 9,198,274
4 Mountain Air Cargo 5,591,179
5 Worldwide Fright Services 1,162,112
Others 368,987

Annual traffic and cargo

IND Airport annual traffic and cargo data,
1996–present
Year Passengers Total cargo (lbs.) Year Passengers Total cargo (lbs.) Year Passengers Total cargo (lbs.)
1996 7,069,039 N/A 2006 8,085,394[80] 5,253,022,547 2016 8,511,959[81] 5,329,187,330
1997 7,171,845 N/A 2007 8,272,289[82] 5,304,551,447 2017 8,791,828[83] 5,138,500,501
1998 7,292,132 N/A 2008 8,151,488[84] 5,128,484,161 2018 9,418,085[85] 5,279,561,245
1999 7,463,536 N/A 2009 7,465,719[86] 4,575,418,342 2019 9,537,377[87] 5,301,991,570
2000 7,722,191 5,767,863,860 2010 7,526,414[88] 4,717,295,655 2020 4,104,130[89] 5,653,005,700
2001 7,238,744 6,308,730,500 2011 7,478,835[90] 4,813,314,835 2021 7,175,979[91] 7,160,133,175
2002 6,896,418 4,675,631,020 2012 7,333,733[92] 4,940,121,920 2022 8,693,024[93] 7,230,550,380
2003 7,361,060 4,553,635,744 2013 7,217,051[94] 5,268,916,355 2023 9,788,867[95] 5,151,459,190
2004 8,025,051 4,627,646,286 2014 7,363,632[96] 5,355,984,715 2024 10,520,326[1] 4,489,767,935
2005 8,524,442[97] 5,089,384,528 2015 7,998,086[98] 5,324,737,760 2025 TBA
Source: Indianapolis International Airport [99][100][101]

On-time performance (domestic major U.S. carriers only)

On-time performance by calendar year [79]
2019–present
Year Percent of on time departures Percent of on time arrivals Average departure delay (min) Average arrival delay (min) Percent of cancelled flights
2019 82% 79% 74.13 65.49 1.86%
2020 86% 84% 67.34 57.00 6.56%
2021 84% 80% 65.34 61.75 1.46%
2022 80% 74% 68.85 64.37 3.16%
2023 83% 78% 73.07 64.59 1.35%
2024 82% 78% 72.75 66.40 1.32%

Airport employees

Number of airport employees at IND (December 2023)[102]

Department Number of employees % of total
Parking 70 15.2%
Terminal services 67 14.4%
Fire 43 9.3%
Building maintantenance 39 8.4%
Police 38 8.2%
Airfield 36 7.8%
Public safety officers 26 5.6%
Airport security and dispatch 22 4.7%
Engineering 19 4.1%
Information technology 14 3.0%
Accounting and finance 12 2.6%
Personnel 11 2.4%
Guest services 10 2.2%
Operations 9 1.9%
Administration 7 1.4%
Marketing 5 1.1%
Reliever airports 5 1.1%
Properties 4 0.9%
Procurement 4 0.9%
Conservation management 4 0.9%
Audit services 4 0.9%
IMC 3 0.6%
Legal 3 0.6%
Diversity 3 0.6%
Executive 2 0.4%
Risk management 2 0.4%
Retail 2 0.4%
Total employees 464 100.0%
Annual passenger traffic at IND airport. See Wikidata query.

Accidents and incidents

See also

References

  1. ^ a b c Indianapolis Airport. "Indianapolis December 2024 Airline Activity Report" (PDF). Retrieved February 3, 2025.
  2. ^ a b IND Airline Activity Report, December 2023 (PDF). Retrieved April 14, 2025.
  3. ^ "IND airport at skyvector.com". skyvector.com. Archived from the original on April 5, 2023. Retrieved August 19, 2022.
  4. ^ "Airport Traffic Report, Port Authority NY NJ". Port Authority of New York and New Jersey Airport Traffic Statistics. April 2023. Archived from the original on February 24, 2021. Retrieved December 11, 2023.
  5. ^ "IND Transport Stats". About IND. Archived (PDF) from the original on September 4, 2014. Retrieved October 7, 2020.
  6. ^ "CY 2015 All-Cargo Landed Weights, Rank Order" (PDF). Federal Aviation Administration. 2016. Archived (PDF) from the original on May 1, 2017. Retrieved July 22, 2018.
  7. ^ "List of NPIAS Airports" (PDF). FAA.gov. Federal Aviation Administration. November 11, 2024. Archived (PDF) from the original on June 21, 2025. Retrieved July 6, 2025.
  8. ^ "Indianapolis Municipal Airport". Indiana Transportation History. August 20, 2019. Retrieved July 30, 2025.
  9. ^ "Indianapolis International Airport". Indiana University. Archived from the original on August 31, 2023. Retrieved August 31, 2023.
  10. ^ "Airport keeps name, but will honor Weir Cook". 6 News Indianapolis. July 18, 2008. Archived from the original on August 26, 2012. Retrieved July 18, 2008.
  11. ^ "TIMELAPSE: Look at changes to Indy airport since 1984". WRTV. January 13, 2017. Archived from the original on April 4, 2023. Retrieved April 4, 2023.
  12. ^ TWA timetable May 1, 1974
  13. ^ "Second-Largest FedEx Express Hub Turns 30". FedEx.com. Archived from the original on October 6, 2024. Retrieved August 30, 2023.
  14. ^ "ATA Expects to Stop Flights From Its Hometown in January". New York Times. November 2, 2005. Archived from the original on October 6, 2024. Retrieved December 27, 2013.
  15. ^ "Northwest increasing its presence at airport". WTHR. March 9, 2005. Archived from the original on September 1, 2023. Retrieved September 1, 2023.
  16. ^ "Indianapolis airport lands first-ever non-stop route to Europe". USA Today. Archived from the original on April 10, 2023. Retrieved April 10, 2023.
  17. ^ "Delta's Indianapolis to Paris flight won't resume for some time". April 29, 2020. Archived from the original on January 9, 2021. Retrieved January 5, 2021.
  18. ^ "Indianapolis Airport Authority Materials, 1928-2012" (PDF). Indiana Historical Society. Archived (PDF) from the original on October 6, 2024. Retrieved August 31, 2023.
  19. ^ "Indianapolis International Airport: Error". Archived from the original on May 11, 2015. Retrieved June 4, 2015.
  20. ^ "Home" (PDF). Archived (PDF) from the original on September 24, 2015. Retrieved June 4, 2015.
  21. ^ "Facility Facts & Statistics: Indianapolis Maintenance Center" (PDF). Indianapolis Airport Authority. Archived from the original (PDF) on July 12, 2012. Retrieved December 27, 2013.
  22. ^ Bybee, Roger. "Con Air: The 'Safe' Offshoring of Airline Repair – Working In These Times". Inthesetimes.com. Archived from the original on October 11, 2014. Retrieved December 27, 2013.
  23. ^ O'Malley, Chris (January 4, 2006). "New Indianapolis Airport Control Tower Has a Blind Spot". Aviation Pros. Archived from the original on December 6, 2017. Retrieved April 15, 2021.
  24. ^ "New Terminal at Indianapolis International Airport Now Boarding". Hunt Construction Group. Archived from the original on January 23, 2009. Retrieved January 4, 2009.
  25. ^ a b Wood, Debra (March 1, 2008). "Hoosier Upgrade". Construction Magazine. Archived from the original on March 27, 2013. Retrieved January 23, 2013.
  26. ^ Shuey, Mickey (December 3, 2021). "Indy's Top 10 architecturally wondrous buildings". Indianapolis Business Journal. IBJ Media. Archived from the original on December 2, 2022. Retrieved September 6, 2022.
  27. ^ Mack, Justin L. "World's largest solar farm complete at Indianapolis airport". The Indianapolis Star. Archived from the original on March 22, 2023. Retrieved February 22, 2023.
  28. ^ "NEWS: Allegiant Plans Aircraft Base in Indiana, New Jobs and Future Growth". mailchi.mp. Archived from the original on August 16, 2022. Retrieved August 2, 2017.
  29. ^ "Instagram post by Allegiant • Aug 2, 2017 at 9:37pm UTC". Instagram. Archived from the original on December 23, 2021.
  30. ^ a b "INDIANAPOLIS AIRPORT PARKING GARAGE & EXPANSION". F.A. Wilhelm. Retrieved August 5, 2025.
  31. ^ "Indianapolis International Airport adding 1500 parking spaces". WRTV. August 16, 2019. Retrieved August 5, 2025.
  32. ^ Guffey, Alysa. "Indianapolis adds flight to Dublin, reestablishing direct connection to Europe". IndyStar. Retrieved October 22, 2024.
  33. ^ "Indy Airport Officially Breaks Ground on New $205.8 Million Hotel". Indianapolis Airport Authority. June 12, 2025. Retrieved July 11, 2025.
  34. ^ Thomas, Kyle (February 21, 2025). "New hotel approved at Indianapolis International Airport". WTHR. Archived from the original on February 22, 2025. Retrieved February 21, 2025.
  35. ^ "Indy Airport Board Approves New Hotel Project". Indianapolis Airport Authority. Archived from the original on February 22, 2025. Retrieved February 21, 2025.
  36. ^ "2024 IAA Hotel Outreach Presentation". Indianapolis Airport Authority. August 28, 2024. Retrieved June 3, 2025.
  37. ^ a b c d "IND Terminal Map". Archived from the original on October 6, 2024. Retrieved July 7, 2022.
  38. ^ "The New Indianapolis International Airport Fact Sheet" (PDF). Indianapolis Airport Authority. August 25, 2008. Archived (PDF) from the original on August 19, 2018. Retrieved August 18, 2018.
  39. ^ a b "Airlines at IND". Indianapolis Airport Authority. Retrieved May 30, 2025.
  40. ^ "A major construction project is underway at IND with a significant economic impact". Indianapolis Airport Authority. January 13, 2023. Retrieved May 13, 2025.
  41. ^ "Indy Airport Receives One of the Largest FAA Grants". Indianapolis Airport Authority. August 2, 2024. Retrieved May 13, 2025.
  42. ^ "Indianapolis airport gets money to renovate runways". WTHR. August 2, 2024. Retrieved June 7, 2025.
  43. ^ "$38M airport control tower to open soon". WTHR. April 20, 2006. Retrieved May 13, 2025.
  44. ^ "The 15 Tallest Air Traffic Control Towers in the World". aerocorner. Retrieved July 9, 2025.
  45. ^ "Transportation & Car Rentals". ind.com. Retrieved June 1, 2025.
  46. ^ "Car Rental". ind.com. Retrieved June 1, 2025.
  47. ^ Kostiuk, Lauren (February 28, 2025). "IndyGo breaks ground on Blue Line project". wthr.com. Retrieved June 22, 2025.
  48. ^ "Indianapolis Gains New Transatlantic Service". AirlineGeeks. Retrieved October 20, 2024.
  49. ^ "Timetables". Aer Lingus. Archived from the original on February 19, 2017. Retrieved May 26, 2025.
  50. ^ "Flight Schedules". Archived from the original on September 25, 2019. Retrieved January 7, 2017.
  51. ^ Airlines, Alaska. "Flight Timetable". Alaska Airlines. Archived from the original on February 2, 2017. Retrieved January 29, 2017.
  52. ^ "Allegiant Ties Record for Largest Expansion in Company History with 44 New Nonstop Routes, plus 3 New Cities". Street Insider. Retrieved November 19, 2024.
  53. ^ "Allegiant Air". Archived from the original on July 17, 2017. Retrieved June 3, 2024.
  54. ^ "American Airlines Adds 8 New Routes For Winter 2025-26". Aviation A2Z. March 26, 2025. Retrieved March 26, 2025.
  55. ^ a b "Flight schedules and notifications". Archived from the original on February 2, 2017. Retrieved June 3, 2024.
  56. ^ "Delta Resumes Salt Lake City – Indianapolis Service From March 2024". Aeroroutes. Archived from the original on July 28, 2023. Retrieved July 18, 2023.
  57. ^ Velani, Bhavya (April 4, 2025). "Delta Air Lines Adds 2 New Destinations and 9 Routes for Winter 2025". Aviation A2Z. Retrieved April 4, 2025.
  58. ^ a b "FLIGHT SCHEDULES". Archived from the original on April 22, 2025. Retrieved May 26, 2025.
  59. ^ "Delta Air Lines to launch five more new nonstop routes from Austin in 2025". KXAN. September 30, 2024. Archived from the original on October 1, 2024. Retrieved September 30, 2024.
  60. ^ "Delta Adds Back Route From Raleigh-Durham Amid Focus City Growth". The Bulkhead Seat. May 31, 2025. Retrieved May 31, 2025.
  61. ^ "Delta Air Lines Adds New Routes from Orlando, Austin, JFK and More". Aviation A2Z. May 2, 2025. Retrieved May 2, 2025.
  62. ^ a b "Frontier Airlines 1Q25 Various Network Resumptions". Aeroroutes. Retrieved November 20, 2024.
  63. ^ "Frontier Airlines Announces New Routes, Expanding Operations Across 38 Airports". Archived from the original on January 27, 2024. Retrieved January 24, 2024.
  64. ^ Indianapolis Airport Authority (May 26, 2022). "New Frontier Nonstop to Indy Arrives in Time for Race Weekend". Retrieved June 7, 2025.
  65. ^ "Frontier". Archived from the original on September 12, 2017. Retrieved January 7, 2017.
  66. ^ "Southwest resumes nonstop flight from Indianapolis to Chicago Midway". WTHR. December 18, 2024. Retrieved December 18, 2024.
  67. ^ "Indianapolis airport adding nonstop flight to Nashville". WTHR. August 22, 2024. Archived from the original on September 5, 2024. Retrieved August 22, 2024.
  68. ^ a b WRTV (May 10, 2021). "Southwest adds two new nonstop flights from Indianapolis International Airport to Miami and Panama City". Retrieved April 6, 2025.
  69. ^ "Southwest Airlines introducing new nonstop flight from Indianapolis for Spring Break 2026". WTHR. August 14, 2025. Retrieved August 14, 2025.
  70. ^ "Check Flight Schedules". Archived from the original on February 2, 2017. Retrieved January 7, 2017.
  71. ^ a b c "Spirit Airlines NS25 Network Additions – 09MAR25". Aeroroutes. Retrieved March 10, 2025.
  72. ^ Guffey, Alysa. "Budget airline to begin flying nonstop to LaGuardia Airport from Indianapolis". IndyStar. Retrieved March 26, 2025.
  73. ^ "Indianapolis airport adding nonstop flight to New Orleans". WTHR. October 28, 2024. Archived from the original on September 5, 2024. Retrieved November 24, 2024.
  74. ^ "Where we fly, flight schedules, flight map". Archived from the original on December 23, 2017. Retrieved June 3, 2024.
  75. ^ Indianapolis Airport Authority. "It's official – Sun Country Airlines Flies Out of Indy Airport". Retrieved April 6, 2025.
  76. ^ Thomas, Dylan (January 25, 2021). "Sun Country announces 16 new routes, including nine serving MSP". Minneapolis / St. Paul Business Journal. Archived from the original on March 24, 2023. Retrieved May 10, 2022.
  77. ^ "United 2H25 A319/737-700 North America Network Additions". June 17, 2025. Retrieved June 18, 2025.
  78. ^ a b "Timetable". Archived from the original on May 8, 2025. Retrieved May 26, 2025.
  79. ^ a b c "RITA | BTS | Transtats". Transtats.bts.gov. Archived from the original on July 16, 2024. Retrieved March 28, 2024.
  80. ^ Indianapolis Airport. "Indianapolis December 2006 Airline Activity Report" (PDF). Retrieved January 26, 2025.
  81. ^ Indianapolis Airport. "Indianapolis December 2016 Airline Activity Report" (PDF). Retrieved January 26, 2025.
  82. ^ Indianapolis Airport. "Indianapolis December 2007 Airline Activity Report" (PDF). Retrieved January 26, 2025.
  83. ^ Indianapolis Airport. "Indianapolis December 2017 Airline Activity Report" (PDF). Retrieved January 26, 2025.
  84. ^ Indianapolis Airport. "Indianapolis December 2008 Airline Activity Report" (PDF). Retrieved January 26, 2025.
  85. ^ Indianapolis Airport. "Indianapolis December 2018 Airline Activity Report" (PDF). Retrieved January 26, 2025.
  86. ^ Indianapolis Airport. "Indianapolis December 2009 Airline Activity Report" (PDF). Retrieved January 26, 2025.
  87. ^ Indianapolis Airport. "Indianapolis December 2019 Airline Activity Report" (PDF). Retrieved January 26, 2025.
  88. ^ Indianapolis Airport. "Indianapolis December 2010 Airline Activity Report" (PDF). Retrieved January 26, 2025.
  89. ^ Indianapolis Airport. "Indianapolis December 2020 Airline Activity Report" (PDF). Archived (PDF) from the original on April 4, 2023. Retrieved February 18, 2021.
  90. ^ Indianapolis Airport. "Indianapolis December 2011 Airline Activity Report" (PDF). Retrieved January 26, 2025.
  91. ^ Indianapolis International Airport. "Dec 2021 Airline Activity Report" (PDF). Indianapolis International Airport. Archived (PDF) from the original on April 4, 2023. Retrieved February 9, 2022.
  92. ^ Indianapolis Airport. "Indianapolis December 2012 Airline Activity Report" (PDF). Retrieved January 26, 2025.
  93. ^ "Dec 2022 Airline Activity Report" (PDF). Indianapolis International Airport. Archived (PDF) from the original on October 28, 2023. Retrieved January 31, 2023.
  94. ^ Indianapolis Airport. "Indianapolis December 2013 Airline Activity Report" (PDF). Retrieved January 26, 2025.
  95. ^ Indianapolis Airport. "Indianapolis December 2023 Airline Activity Report" (PDF). Retrieved January 26, 2025.
  96. ^ Indianapolis Airport. "Indianapolis December 2014 Airline Activity Report" (PDF). Retrieved January 26, 2025.
  97. ^ Indianapolis Airport. "Indianapolis December 2005 Airline Activity Report" (PDF). Retrieved January 26, 2025.
  98. ^ Indianapolis Airport. "Indianapolis December 2015 Airline Activity Report" (PDF). Retrieved January 26, 2025.
  99. ^ "Archived copy" (PDF). Archived from the original (PDF) on April 4, 2015. Retrieved April 2, 2015.{{cite web}}: CS1 maint: archived copy as title (link) - for 1996 to 2004
  100. ^ "Airline Activity Reports". Indianapolis International Airport. Archived from the original on December 1, 2017. Retrieved November 20, 2017. - individual reports for 2005 and following years
  101. ^ "Passenger Boarding (Enplanement) and All-Cargo Data for U.S. Airports - Previous Years". Federal Aviation Administration. Retrieved June 30, 2025.
  102. ^ "Indianapolis December 2023 Number of Employees by Identifiable Activity" (PDF). Indianapolis Airport Authority. p. 114. Retrieved January 26, 2025.
  103. ^ "Retro Indy: Allegheny Airlines crash Sept. 9, 1969 killed 83 near Shelbyville". IndyStar. Archived from the original on September 1, 2023. Retrieved September 1, 2023.
  104. ^ "Indiana Plane Crashes". Indianapolis Star. April 1, 2002. Archived from the original on June 27, 2013. Retrieved June 6, 2008.