Quedius impressithorax
| Quedius impressithorax | |
|---|---|
| |
| Scientific classification | |
| Kingdom: | Animalia |
| Phylum: | Arthropoda |
| Class: | Insecta |
| Order: | Coleoptera |
| Suborder: | Polyphaga |
| Infraorder: | Staphyliniformia |
| Family: | Staphylinidae |
| Genus: | Quedius |
| Species: | Q. impressithorax
|
| Binomial name | |
| Quedius impressithorax Scheerpeltz, 1965
| |
| Synonyms | |
| |
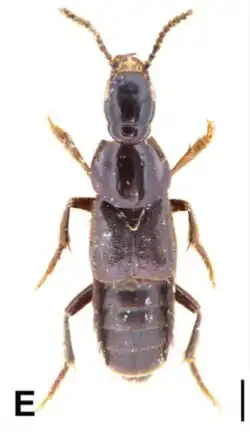
Quedius impressithorax is a species of beetle of the family Staphylinidae. It is found in Myanmar (Kachin).
Description
Adults have a dark brown head, elytra, abdomen, antennae and legs, while the pronotum and apices of the abdominal tergites are slightly paler and dark reddish brown. The apical tarsomeres of all legs are paler and yellow-brown and the abdomen is vaguely iridescent.[1]
_impressithorax.jpg)