Typhoon Talim (2017)
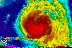
![]() Talim near at its peak intensity, to the north-northwest of Taiwan on September 14 | |
| Meteorological history | |
|---|---|
| Formed | September 8, 2017 |
| Extratropical | September 17, 2017 |
| Dissipated | September 22, 2017 |
| Very strong typhoon | |
| 10-minute sustained (JMA) | |
| Highest winds | 175 km/h (110 mph) |
| Lowest pressure | 935 hPa (mbar); 27.61 inHg |
| Category 4-equivalent typhoon | |
| 1-minute sustained (SSHWS/JTWC) | |
| Highest winds | 220 km/h (140 mph) |
| Lowest pressure | 933 hPa (mbar); 27.55 inHg |
| Overall effects | |
| Fatalities | 5 total |
| Damage | $750 million (2017 USD) |
| Areas affected | Mariana Islands, Philippines, Taiwan, East China, Japan, Kamchatka Peninsula |
| IBTrACS | |
Part of the 2017 Pacific typhoon season | |
Typhoon Talim, known in the Philippines as Typhoon Lannie, was an intense and destructive tropical cyclone that affected parts of East Asia, especially Japan, during mid-September 2017. The eighteenth named storm and the sixth typhoon of the 2017 Pacific typhoon season, Talim's origins can be traced back to an area of low-pressure that the Joint Typhoon Warning Center first monitored on September 6. The disturbance was upgraded to a tropical depression by the Japan Meteorological Agency only two days later, and it became a tropical storm on September 9, earning the name Talim. Talim grew stronger over the next few days, eventually becoming a typhoon the next day. Within a favorable environment, the typhoon rapidly intensified after passing through the Ryukyu Islands. However, as it moved eastward, Talim started to weaken due to wind shear, and on September 16, it was downgraded to a tropical storm. The storm passed over Japan, near Kyushu the next day, before becoming extratropical on September 18. The extratropical remnants were last noted by the JMA four days later, before dissipating fully on September 22.
In preparations for the typhoon, more than a half a million individuals evacuated in the Japanese islands, and tropical cyclone alerts were raised in the country itself, Taiwan and the eastern portion of China. The NDRRMC in the Philippines also issued bulletins on the system, depicting a possibility of flash floods and landslides in Luzon; however, the typhoon passed safely to the east of the country. 5 deaths were attributed from Talim, all in Japan and caused over $750 million worth of damages over the country.[1]
Meteorological history

Tropical storm (39–73 mph, 63–118 km/h)
Category 1 (74–95 mph, 119–153 km/h)
Category 2 (96–110 mph, 154–177 km/h)
Category 3 (111–129 mph, 178–208 km/h)
Category 4 (130–156 mph, 209–251 km/h)
Category 5 (≥157 mph, ≥252 km/h)
Unknown
On September 6, the Joint Typhoon Warning Center (JTWC) began monitoring a low pressure area for potential tropical cyclogenesis, under a favorable environment.[2] Two days later, on September 8, the Japan Meteorological Agency (JMA) confirmed the formation of a tropical depression to the southeast of the Mariana Islands.[3][2][4] A ridge steered the depression to the northwest to more favorable conditions, including low wind shear, warm sea surface temperatures and good outflow.[3] On the same day, the Joint Typhoon Warning Center (JTWC) followed suit, recognizing it as a tropical depression in their first bulletin.[5] The depression continued intensifying, becoming a tropical storm, early the next day, according to the JMA, and gave the name Talim on the system.[6][7][8] The JTWC followed upgrading the system on the afternoon hours of the same day.[6] The next day, it strengthened further to a severe tropical storm in the Philippine Sea.[9]

In the early morning hours of September 10, the JMA upgraded the system to a typhoon, with a small eye emerging on the system.[10] Its eye became apparent on satellite images later that day,[11] before Talim entered the Philippine Area of Responsibility, with the PAGASA issuing on their first bulletin, classifying the system as Typhoon Lannie.[12][13] It passed over the Ryukyu Islands on September 13 as it continued to move to the northwest.[14] Also at that time, Lannie exited the PAR, with the PAGASA issuing their final advisory on the system.[15][16] Talim reached its peak strength the next day, with sustained winds of about 140 mph (230 km/h) for one minute mean and a minimum pressure of 935 mbar (27.61 inHg).[17] At this time, the typhoon's wind field expanded as far as Shanghai and it featured a large eye.[11] On September 15, Talim began to weaken due to increasing upper-level wind shear, with the typhoon becoming slowly disorganized.[18][19] It further degraded to a tropical storm as it slowly approached the Japanese Islands, before making landfall near Kyushu on September 17.[20][21] It crossed the country, before transitioning to an extratropical storm as it entered the Sea of Japan, near Hokkaido on the next day,[22] following with the JTWC and JMA issuing their final warning.[3] It soon hit Sakhalin as a gale-force extratropical storm later that day.[22] The extratropical remnants persisted for four more days before dissipating on September 22, just offshore Magadan Oblast.[3]
Preparations

Philippines
As Talim entered the Philippine Area of Responsibility, the PAGASA issued their subsequent bulletins, pinpointing the possibility of the typhoon inducing the southwest monsoon. This may increase risks of flash floods and landslides; however, Talim passed safely to the northeast of the country.[12][15]
East China and Taiwan
Blue and orange alerts were issued for parts of China due to the typhoon.[23][24][25] Over 200,000 people in Fujian, China and Zheijang provinces were evacuated ahead of Talim.[26][27][28] Train tickets were no longer available for purchase in Shanghai due to high demands.[29] Some schools and large sports stadiums were used as shelters for evacuees.[30] Over 2,000 touristbspots and construction sites have been shut down in Zheijang, and over 4,700 boats were towed back to different ports.[31] Trees were also cut down to prevent accidents.
On September 12, a sea warning was issued for eastern Taiwan's coastal waters ahead of the typhoon.[32] Some flights have been canceled, and sandbags have been placed in anticipation of storm surges and flash flooding.[33][34]
Ryukyu Islands and Japan
The US Navy began issuing Tropical Cyclone Condition of Readiness alerts for all US bases in Okinawa on September 12.[21] As Talim passes through, high waves are expected across the whole Ryukyu Islands.[35][36]
More than 640,000 individuals were ordered to evacuate across southern Japan ahead of the typhoon.[37][36][38] Over 644 domestic flights were cancelled and other international flights were moved to other days, making the tourists stranded.[39] Some games were also cancelled and/or moved to other dates due to Talim.[40][41] Warnings were issued at all households regarding the approaching typhoon.[42]
Other
Local residents and tourists of Primorsky Territory and the Kuril Islands were warned of high waves, heavy rains and gusty winds as Ex-Talim approaches the area.[43]
Impact
5 deaths were reported and over 73 were injured, all in Japan. The total damages were estimated at $750 million (2017 USD).
East China and Taiwan
Starting on September 13, rough surfs started to impact Taiwan.[44] As the typhoon slowly approached, heavy rain warnings were issued on the northeastern part of the country.[45] Forecasts depicted the possibility of Talim making landfall near Taipei; however, Talim passed to the east of the country. Despite that, rainshowers impacted the northeastern part of the island.[46] Also at that time, lightning was detected on the typhoon at its peak intensity.[47]
Storm surges began to impact the eastern coast of Zhejiang on September 14.[23] As Talim neared, squally rainfall and gusty winds were experienced at the area.[48] However, some residents watch the big waves at the shore in awe.[23][49][50]
Fortunately, no damages and deaths were reported at these areas.
Ryukyu Islands
On the night of September 13, heavy rains and gusty winds started to affect the Ryukyu Islands.[51] As Talim ripped Okinawa, starting on September 13, strong winds uprooted trees and over 20,000 households reported power outages in Miyako.[52] A record 479.04 mm (18.860 in) of rain was observed on September 20 on Miyako-jima Airport for 24 hours.[52][53] This is the heaviest rain the place suffered, according to the Japan Meteorological Agency (JMA).[54][55][51]
Japan

As the typhoon made landfall on Kyushu on the morning of September 17, over 1,400 households in Miyazaki and Kumamoto were affected due to strong winds that downed electrical lines.[56][57][58] In the nearby Oita Prefecture, many rivers overflowed, affecting residents from the central to southern parts of the area.[59][60] The subsequent flooding in urban areas of the prefecture have prompted its governor to issue a disaster relief request.[61] An iron bridge was also washed away at the area.[62] The typhoon also flooded the Tsukumi and Tokuura Rivers in Tsukumi City.[63][60] There were also damages in Miyazaki Prefecture, including the a village in nearby Kagoshima.[64] On Tokyo, a scaffolding in a construction site collapsed, leading to a power outage of 2,700 households near the area.[65] On Saiki City and Tsukumi City in Oita Prefecture, some residents were trapped in their houses due to flash floods, which were immediately rescued by the authorities.[65] Five homes were entirely destroyed, 615 were partially destroyed, and 804 were partially damages, according to reports.[66]
The Saeki, Tsukumi, and Usuki railway stations of Nippō Main Line, all in Oita Prefecture, were covered in mud due to the floodings.[62] In addition, a large-scale landslide occurred on the Tokuura signal field while sediment inflow was seen near the place.[67][62] However, no one was killed.[62] In addition, there was a coastal embarkment from the stations of Kaigantera until the end of the Takuta Station of the Shikoku Railway Company sustained damages.[68] The Yakuri and Kotodenshido stations of the Takamatsu-Kotohira Electric Railroad has its parts collapsed.[69] There were also reports of runoffs in the stations of Kyoto Tango Railway.[62]
5 deaths were attributed to Talim. An 86-year-old woman was found dead on September 17, due to her house pounded by a landslide in Kagawa Prefecture, while on Kōchi Prefecture, a 60-year man drowned in his car, due to a swollen river,[60] and two bodies were recovered from a riverbank.[70] In Oita Prefecture, a 70-year man was recorded missing, before founding him in an unknown place.[71][70] The last fatality of the storm was reported at Hokkaido, when another man, possibly in his 80s, was found dead in a beach.[72] 73 individuals were injured, in the other hand.[73]
See also
- Weather of 2017
- Tropical cyclones in 2017
- Typhoon Sinlaku (2008)
- Typhoon Jangmi (2008)
- Typhoon Malakas (2016)
- Typhoon Shanshan (2024)
References
- ^ "Companion Volume to Weather, Climate & Catastrophe Insight" (PDF). Aon Benfield. Retrieved 30 January 2018.
- ^ a b "Marine Weather Warning for GMDSS Metarea XI 2017-09-07T12:00:00Z". WIS Portal – GISC Tokyo. Japan Meteorological Agency. Retrieved September 7, 2017.
- ^ a b c d "Annual Tropical Cyclone Report 2017" (PDF). Joint Typhoon Warning Center. Retrieved February 9, 2021.
- ^ "気象庁". 気象庁. 2017-09-07. Archived from the original on 2017-09-09. Retrieved 2017-09-07.
- ^ "Tropical Depression 20W (Twenty) Warning Nr 001". Joint Typhoon Warning Center. September 8, 2017. Archived from the original on May 23, 2024. Retrieved March 31, 2018.
- ^ a b "Tropical Storm 20W (Talim) Warning Nr 004". Joint Typhoon Warning Center. September 9, 2017. Archived from the original on May 23, 2024. Retrieved March 31, 2018.
- ^ "平成29年 台風第18号に関する情報". 気象庁. 2017-09-09. Archived from the original on 2017-09-09. Retrieved 2017-09-09.
- ^ "台風18号『タリム』発生". 日本気象協会. 2017-09-09. Archived from the original on 2017-09-12. Retrieved 2017-09-16.
- ^ "天 氣 稿 第 021 號 - 本港天氣預報". Government of Hong Kong (in Chinese). September 10, 2017. Retrieved March 10, 2021.
- ^ "Tropical Cyclone Information". Japan Meteorological Agency. September 11, 2017. Archived from the original on 2017-09-11. Retrieved March 10, 2021.
- ^ a b Rob Gutro, Hal Pierce (September 18, 2017). "Talim in the Philippine Sea". NASA. Retrieved March 19, 2021.
- ^ a b ReliefWeb (from NDRRMC) (September 10, 2017). "NDRRMC Update Sitrep No. 01 re Preparedness Measures and Effects of Typhoon "Lannie" (I.N. Talim) and Tropical depression "Maring", as of 8:00AM, 12 September 2017". Retrieved March 19, 2021.
- ^ Frances Mangosing (September 10, 2017). "Typhoon 'Lannie' enters PAR". Philippine Daily Inquirer. Retrieved March 19, 2021.
- ^ "天 氣 稿 第 112 號 - 本港天氣預報". Government of Hong Kong (in Chinese). September 13, 2017. Retrieved March 19, 2021.
- ^ a b "Tropical Storm Maring, Typhoon Lannie leave PAR". Rappler. September 13, 2017. Retrieved February 10, 2021.
- ^ "SitRep No. 08 re re Preparedness Measures and Effects of Typhoon "LANNIE". (I.N. TALIM) and Tropical Storm "MARING"" (PDF). NDRRMC. Retrieved March 19, 2021.
- ^ "Typhoon 20W (Talim) Warning Number 23". Joint Typhoon Warning Center. September 14, 2021. Archived from the original on May 23, 2024. Retrieved February 9, 2021.
- ^ "天 氣 稿 第 011 號 - 本港天氣預報". Government of Hong Kong (in Chinese). September 15, 2017. Retrieved March 19, 2021.
- ^ NASA's Goddard Space Flight Center (September 15, 2017). "NASA gets a dramatic 3-D view of Typhoon Talim's large eye". Phys.org. Retrieved March 19, 2021.
- ^ Lisa Twaronite; Simon Cameron-Moore (September 17, 2017). "Weaker Typhoon Talim disrupts transport in southwestern Japan". reuters.com. Retrieved September 17, 2017.
- ^ a b Dave Ornauer (September 16, 2017). "Tropical Storm 20W (Talim), # 36 FINAL: Misawa All Clear". Stars and Stripes. Retrieved March 19, 2021.
- ^ a b NASA's Goddard Space Flight Center (September 18, 2017). "NASA sees Talim now extra-tropical". Retrieved March 19, 2021.
- ^ a b c "Surges brought by Typhoon Talim seen in E China (2)". XinhuaNet. September 14, 2017. Archived from the original on May 24, 2021. Retrieved March 19, 2021.
- ^ Xinhua (September 17, 2017). "China renews alert for Typhoon Talim". ChinaDaily. Retrieved March 20, 2021.
- ^ "China issues orange alert for Typhoon Talim". Xinhua. September 12, 2017. Archived from the original on December 15, 2019. Retrieved March 20, 2021.
- ^ "Japan, Taiwan, China – Tropical Cyclone Talim (GDACS, JTWC, JMA, CWB) (ECHO Daily Flash of 14 September 2017)". September 14, 2017. Retrieved March 20, 2021.
- ^ Xinhua (September 14, 2017). "China: Over 200,000 evacuated as Typhoon Talim approaches". ReliefWeb. Retrieved February 10, 2021.
- ^ "Typhoon Talim intensifies; over two lakh people evacuated in China's Fujian, Zhejiang provinces". Firstpost. September 13, 2017. Retrieved March 22, 2021.
- ^ Faith Hung, Ryan Woo (September 12, 2017). "Taiwan battens down for Typhoon Talim, mainland China braces for twin storms". Reuters. Retrieved March 20, 2021.
- ^ "Mass evacuation as China prepares for 'giant typhoon'". The Straits Times. September 13, 2017. Retrieved March 20, 2021.
- ^ "Surges brought by Typhoon Talim seen in E China (3)". XinhuaNet. September 14, 2017. Archived from the original on May 24, 2021. Retrieved March 19, 2021.
- ^ "Taiwan issues sea warning for Typhoon Talim". Focus Taiwan. September 12, 2017. Retrieved March 20, 2021.
- ^ "Taiwan battens down for Typhoon Talim, mainland China braces for twin storms". Reuters. September 13, 2017. Retrieved March 20, 2021.
- ^ "China says Taiwan-bound Talim could become super typhoon". The Japan Times. September 12, 2017. Retrieved March 20, 2021.
- ^ "Security Message for U.S. Citizens: Tropical Cyclone Talim (No. 18)". jp.usembassy.gov. September 12, 2017. Retrieved March 20, 2021.
- ^ a b "Tropical Storm Talim Expected to Bring Strong Winds, Flooding Rain to Japan". The Weather Channel. September 17, 2017. Retrieved March 20, 2021.
- ^ "Typhoon Talim Puts 640,000 in Japan on Evacuation Alert". Latin American Herald Tribune. Retrieved March 20, 2021.
- ^ "Typhoon Talim veers away from Taiwan, moves towards Japan". ABS-CBN News. September 14, 2017. Retrieved March 20, 2021.
- ^ "Typhoon Talim Hits Japan as Maria Heads for Caribbean". aeronauticsonline.com. September 17, 2017. Archived from the original on April 9, 2018. Retrieved March 20, 2021.
- ^ "Jリーグ 17日に予定3試合が台風で中止". デイリースポーツ. 2017-09-17. Retrieved 2017-09-17.
- ^ "プロ野球 広島のリーグ優勝あす以降に 台風で試合中止". NHK NEWS WEB. 2017-09-17. Retrieved 2017-09-17.
- ^ "台風18号 「美浜町」違いでした 福井の災害情報、愛知に誤送信". 毎日新聞. 2017-09-19. Retrieved 2017-09-08.
- ^ "Typhoon Talim rumbles through Hokkaido after leaving two dead in Shikoku". japantimes.co.jp. September 18, 2017. Retrieved March 21, 2021.
- ^ "Typhoon Talim bringing wind and floods to China and Taiwan". September 12, 2017. Retrieved March 21, 2021.
- ^ "Taiwan issues heavy rain warnings as Talim passes". Taiwan News. September 14, 2017. Retrieved March 21, 2021.
- ^ "Eye of Typhoon Talim now visible from space". Taiwan News. September 13, 2017. Retrieved March 21, 2021.
- ^ "Powerful lightning detected inside Typhoon Talim". Taiwan News. September 13, 2017. Retrieved March 21, 2021.
- ^ "Surges brought by Typhoon Talim seen in E China (4)". XinhuaNet. September 14, 2017. Archived from the original on May 24, 2021. Retrieved March 23, 2021.
- ^ "(Super typhoon Talim) Winds, rain batter Zhejiang". TheStandard.com. September 15, 2017. Retrieved March 23, 2021.
- ^ "Super typhoon Talim brings gale and heavy rainfall, causing billows in E China". Xinhua. September 15, 2017. Archived from the original on March 5, 2018. Retrieved March 22, 2021.
- ^ a b "平成29年台風第18号について" (PDF). 沖縄地方気象台. 2017-09-14. Retrieved 2017-09-20.
- ^ a b "Typhoon "Talim" closing in on Kyushu, after dumping record-breaking rain on Okinawa". TheWatchers. September 15, 2017. Retrieved March 23, 2021.
- ^ "Record rain as typhoon batters southern Japanese islands". Rappler. May 15, 2018. Retrieved March 23, 2021.
- ^ "Typhoon Talim buffets islands in Japan's Okinawa region, knocks out power in 20,000 homes". XinhuaNet. September 14, 2017. Archived from the original on January 10, 2020. Retrieved March 24, 2021.
- ^ "平成29年9月16日から18日にかけての台風第18号と前線による大雨と暴風について" (PDF). 大阪管区気象台. 2017-09-18. Retrieved 2017-09-20.
- ^ "Typhoon Talim hits Kyushu". peacewindsamerica.org. September 17, 2017. Retrieved March 23, 2021.
- ^ "Transportation affected after strong typhoon hits Kagoshima, Kochi prefectures; two missing". japantimes.co.jp. September 17, 2017. Retrieved March 23, 2021.
- ^ "Weaker Typhoon Talim disrupts transport in southwestern Japan". Reuters. September 16, 2017. Retrieved March 23, 2021.
- ^ 台風18号、大分で4回の記録的短時間大雨情報 - TBS NEWS(2017年9月17日配信、同日閲覧)
- ^ a b c "2 dead, 38 injured as Typhoon Talim rips through Japan". straitstimes.com. September 17, 2017. Retrieved March 23, 2021.
- ^ 大分県臼杵市における水防活動等に係る災害派遣について(21時30分現在) - 防衛省(2017年9月17日、同日閲覧)
- ^ a b c d e 台風第18号による被害状況について(第3報) - 国土交通省災害情報(平成29年9月19日6時30分現在)(2017年9月19日、同日閲覧)
- ^ 津久見市で大雨 津久見川と徳浦川が氾濫 - 日テレニュース24(2017年9月17日配信、2017年9月18日閲覧)
- ^ 正午)台風18号 各地で突風被害相次ぐ - MRT宮崎放送(2017年9月17日、同日閲覧)
- ^ a b "台風通過、関東などで真夏日...死者2人不明3人". 読売新聞. 2017-09-18. Retrieved 2017-09-19.
- ^ "平成29年台風第18号による被害及び消防機関等の対応状況等について(第14報)" (PDF). 総務省消防庁. 2018-10-31. Retrieved 2021-02-22.
- ^ 大分 JR日豊線の線路脇で土砂崩れ 一部で運転見合わせ - NHK NEWS(2017年9月18日、同日閲覧)
- ^ JR予讃線 一部運転見合わせ - NHK NEWS 香川(2017年9月18日、同日閲覧)
- ^ ことでん志度線 運転再開 - NHK NEWS香川(2017年9月18日、同日閲覧)
- ^ a b "台風18号 2人死亡 3人行方不明(午後7時)". NHK. 2017-09-19. Retrieved 2017-09-19.
- ^ 台風18号 九州の被害 大分で1人行方不明(午前0時)- NHK NEWS(2017年9月18日、同日閲覧)
- ^ "<台風18号>3人死亡3人不明 土砂崩れや冠水が相次ぐ". EXCITE NEWS. 2017-09-19. Retrieved 2017-09-19.
- ^ "デジタル台風:台風201718号 (TALIM) - 災害情報". agora.ex.nii.ac.jp. Retrieved 2020-07-23.
External links
- 20.TALIM from the U.S. Naval Research Laboratory
- Typhoon 201718 (TALIM) from Digital Typhoon
